Local Service Overview

Get Black Ant Extermination in Van Alstyne, TX

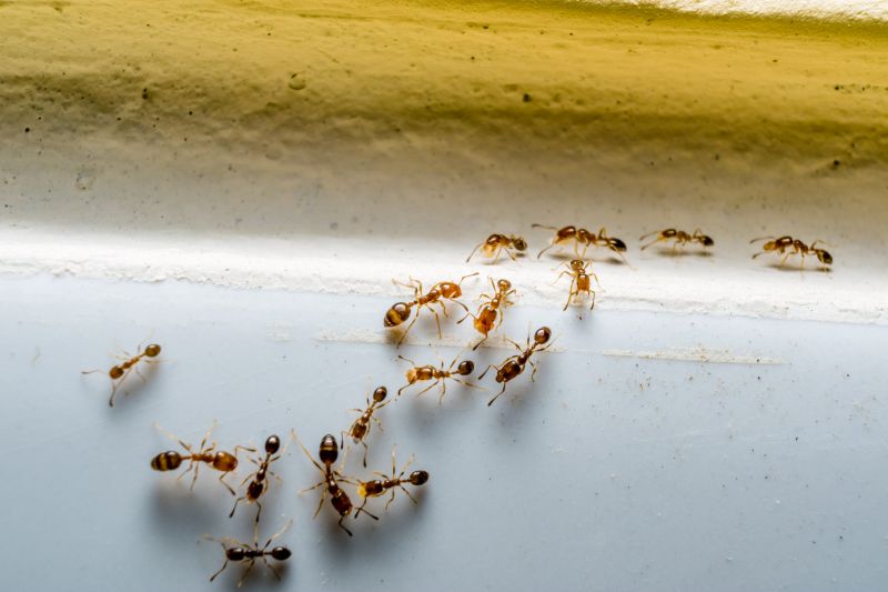
Black Ant Extermination services for property owners in Van Alstyne, TX, address ant infestations, prevent future invasions, and handle residential or commercial pest control projects.

Van Alstyne, TX

Black ant extermination services are a practical solution for property owners in Van Alstyne, TX seeking to maintain a comfortable and safe living environment. These services help prevent ant infestations that can disrupt daily activities, cause discomfort, and potentially damage structures or stored belongings. By addressing ant issues promptly, property owners can enjoy a sense of security and peace of mind, knowing that their homes and businesses are protected from unwanted pests.

Engaging professional exterminators also offers benefits such as enhanced durability and reduced maintenance. Proper pest control can help preserve the integrity of building materials and prevent long-term damage caused by ant colonies. Additionally, a pest-free property often boosts curb appeal, making it more inviting and well-maintained. This combination of safety, functionality, and aesthetic appeal makes professional ant extermination a valuable investment for property owners in the area.

Get Black Ant Extermination Quotes

  • Ant Extermination - needed when black ants invade kitchens, pantries, or outdoor areas around homes and businesses.
  • Indoor Black Ant Control - required if black ants are found nesting inside walls, cabinets, or other interior spaces.
  • Outdoor Black Ant Removal - necessary when ant colonies establish themselves in garden beds, lawns, or around building foundations.
  • Seasonal Ant Prevention - advised to prevent black ant infestations during warmer months when they are most active.
  • Emergency Ant Extermination - sought when black ant swarms suddenly appear in residential or commercial properties.

Get Black Ant Extermination Quotes

Black Ant Extermination
Black Ant Extermination
Black Ant Extermination

Black ant extermination services are designed to eliminate and control infestations of black ants in residential, commercial, and industrial properties. These services typically involve a thorough inspection to identify the extent of the ant problem and locate entry points and nesting sites. Service providers often apply targeted treatments such as baits, sprays, or dusts to disrupt the ants’ colonies and prevent future invasions. The goal is to reduce ant activity efficiently while minimizing disruption to the property.

Black ants can become a persistent nuisance when they invade homes, restaurants, warehouses, or office buildings. They often seek food sources, moisture, and shelter, leading to potential contamination of food supplies and unsanitary conditions. In addition to the inconvenience, their presence can indicate underlying issues with moisture or access points that need addressing. Professional extermination services help solve these problems by not only removing existing colonies but also implementing preventative measures to deter future activity.

The types of properties that typically utilize black ant extermination services include single-family homes, apartment complexes, retail stores, and food service establishments. Commercial properties, especially those involved in food production or handling, may require regular pest management to meet health and safety standards. Industrial facilities with storage areas or moisture issues also frequently seek extermination services to maintain a pest-free environment. Residential properties experiencing recurring ant problems are equally likely to seek professional assistance for long-term control.

Partnering with local pest control providers ensures that property owners and managers can access tailored solutions for black ant issues. These professionals assess each property’s unique conditions and develop customized treatment plans to effectively manage infestations. Regular inspections and treatments can help maintain a pest-free environment, reducing the likelihood of future invasions and the associated nuisances. Contacting local service providers can provide the expertise needed to address black ant problems efficiently and comprehensively.

The overview below groups typical Black Ant Extermination projects into broad ranges so you can see how smaller, mid-sized, and larger jobs often compare in Van Alstyne, TX.

In many markets, a large share of routine jobs stays in the lower and middle ranges, while only a smaller percentage of projects moves into the highest bands when the work is more complex or site conditions are harder than average.

Initial Black Ant Extermination - The cost for a one-time treatment typically ranges from $150 to $300, depending on the size of the affected area. Larger properties or severe infestations may cost more, sometimes reaching up to $500.

Monthly Maintenance Services - Ongoing monthly treatments can cost between $50 and $100 per visit. This option is suitable for preventing future ant problems in residential or commercial settings.

Per-Visit Treatment Costs - Single-visit extermination services generally fall within the $100 to $250 range. The price varies based on the extent of the infestation and the treatment methods used.

Cost Factors - Prices may vary depending on property size, infestation severity, and the specific treatment approach. Contact local service providers for personalized estimates tailored to individual needs.

Actual totals will depend on details like access to the work area, the scope of the project, and the materials selected, so use these as general starting points rather than exact figures.

Get a Black Ant Extermination Quote

Black Ant Extermination services are essential for removing infestations that can damage structures and create health concerns. Local pest control providers offer specialized treatments to eliminate black ants effectively.

Ant Control Solutions involve targeted approaches to identify and eradicate black ant colonies, preventing future invasions in residential and commercial properties.

Integrated Pest Management services may include black ant removal as part of broader pest control plans to address multiple pest issues simultaneously.

Residential Ant Extermination focuses on protecting homes from black ant infestations, ensuring a safe and pest-free living environment.

Commercial Ant Control services help businesses maintain pest-free premises, safeguarding their reputation and compliance with health standards.

Preventive Black Ant Treatments are available to reduce the risk of future infestations through barrier methods and ongoing monitoring by local specialists.

Black Ant Extermination

When selecting a professional for black ant extermination, it is important to consider the experience and expertise of the service providers. Homeowners should look for local pros who have a proven track record in pest control, specifically with ant extermination. An experienced provider can better identify the ant species involved, assess the extent of the infestation, and recommend effective treatment methods. Reputable local companies often have a history of handling similar cases in the Van Alstyne, TX area, which can be a helpful indicator of their familiarity with local pests and conditions.

Clear communication and well-defined expectations are essential when working with pest control providers. Homeowners should seek out professionals who provide detailed information about their methods, what treatments will be used, and any preparations needed before service. A transparent approach helps ensure that both parties are aligned on the scope of work and expected outcomes. Reputable local pros typically emphasize open dialogue and are willing to address questions or concerns about the extermination process, fostering a smoother experience.

References and reputation play a significant role in evaluating local pest control options. Homeowners are encouraged to seek out providers with positive feedback from previous clients and a history of reliable service. While the information below introduces local options, it does not perform the work itself; instead, it connects users with qualified service providers. By reviewing references or testimonials, homeowners can gain confidence in a provider’s professionalism and effectiveness. Good communication, experience, and a solid reputation are key factors to consider when choosing a pest control expert for black ant extermination in the Van Alstyne area.

Get a Black Ant Extermination Quote

Property owners in Van Alstyne, TX use Black Ant Extermination services for practical projects around their homes and businesses. The sections below highlight everyday jobs and straightforward project options.

Black Ant Extermination
Black Ant Extermination

Black ant extermination services are often sought by property owners in Van Alstyne, TX who notice persistent ant activity around their homes or businesses. These insects can invade kitchens, storage areas, and outdoor spaces, making it important to address the problem before it spreads or causes damage. Local pest control providers can assess the extent of an ant infestation and recommend treatment options to help restore a pest-free environment.

In addition to visible ant colonies, property owners may seek extermination services to prevent future invasions or to eliminate nests that are difficult to locate. Ant problems can be more than just a nuisance; they can also lead to contamination of food supplies or attract other pests. Connecting with experienced local service providers can assist in implementing effective solutions tailored to the specific needs of properties in Van Alstyne, TX.

Get a Black Ant Extermination Quote

Why are black ants a problem? Black ants can invade homes in search of food and water, potentially causing nuisance and contamination issues.

How do extermination services eliminate black ants? Local pest control providers typically use targeted treatments to remove black ant colonies and prevent future infestations.

Are black ants dangerous? Black ants are generally not harmful to humans but can be a nuisance and may contaminate food sources.

How can I prevent black ant infestations? Maintaining cleanliness, sealing entry points, and removing food sources can help reduce the likelihood of black ant problems.

When should I consider professional black ant extermination? If black ants are persistent or widespread, contacting local pest control specialists is recommended for effective removal.

Black Ant Extermination Plans - Local service providers can develop tailored strategies to effectively eliminate black ants from residential and commercial properties.

Inspection and Identification - Pros can identify ant nesting sites and determine the extent of infestation to recommend appropriate treatment options.

Preventive Measures - Experts can advise on sealing entry points and removing attractants to help prevent future black ant invasions.

Ongoing Monitoring - Service providers offer monitoring solutions to ensure black ant populations do not return after initial treatment.

Black Ant Extermination

Considering Black Ant Extermination for a property in Van Alstyne, TX? The sections above highlight common project types, practical options, and details that often shape the scope of work.

When you are ready, use the quote form to share a few details about your project. Local pros can review the basics and respond with options that match what you have in mind.

Get a Black Ant Extermination Quote

Black Ant Extermination Quotes

Our Trusted Partners
Cantu Pest Control
Hawx Pest Control